E Main Street, Marshall VA
- $8,000,000
- MLS #:VAFQ2016288
- 12.00acres
Property Type: land
Subcategory: Other
HOA: No
Area: Fauquier
Water: Public
Kickout: No
Annual Taxes: $16,762
Tax Year: 2022
Directions: 1. Head north on US-17 N (Winchester Road). 2. Continue on US-17 N for approximately 12 miles. 3. Take a right onto East Main Street. 4. Property is on the right just passed the Marshall Cemetery
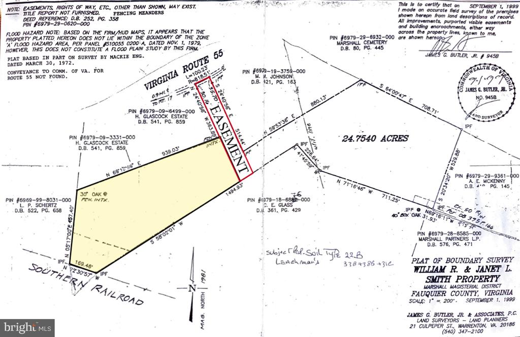
This 12.5-acre industrial property in Marshall, VA offers a prime development opportunity with minimal wetlands and 170 feet of rail frontage. Located less than half a mile from I-66, it provides easy access to Northern Virginia and the D.C. metro area. The site has access to public water, sewer, and electricity. Additionally, a 100 foot easement will be conveyed for access to E Main St., enhancing accessibility. With ample expansion potential, it's ideal for warehousing, distribution, light manufacturing, or other industrial uses in a key Fauquier County industrial corridor.
Days on Market: 271
Updated: 3/04/26
Courtesy of: Cres, Inc.
Want more details?
Directions:
1. Head north on US-17 N (Winchester Road). 2. Continue on US-17 N for approximately 12 miles. 3. Take a right onto East Main Street. 4. Property is on the right just passed the Marshall Cemetery
View Map
View Map
Listing Office: Cres, Inc.